Книга Такая удивительная Лиговка, страница 162 – Тамара Крашенинникова, Аркадий Векслер

Авторы: А Б В Г Д Е Ж З И Й К Л М Н О П Р С Т У Ф Х Ч Ш Ы Э Ю Я
Книги: А Б В Г Д Е Ж З И Й К Л М Н О П Р С Т У Ф Х Ц Ч Ш Щ Ы Э Ю Я
Бесплатная онлайн библиотека LoveRead.ec

Онлайн книга «Такая удивительная Лиговка»

📃 Cтраница 162

На Лиговке в разное время жили и работали известные писатели, издатели и деятели народного просвещения, врачи и инженеры. Неожиданными для читателя станут «лиговские» адреса Сергея Городецкого, Габриэлы Комлевой, Израиля Меттера, Карла Маннергейма, Алексея Плетнева, Григория Романова, Всеволода Соловьева.

Но такова Лиговка, разная и замечательная.

Завершая работу над книгой, авторы выражают искреннюю признательность людям, без помощи которых она была бы невыполнимой. Это Светлана Сергеевна Бушина, Светлана Дмитриевна Мангутова и их сотрудники из библиотеки им. В.В. Маяковского и Российской национальной библиотеки, работники Центрального Государственного исторического архива Санкт-Петербурга и ряда расположенных на Лиговском проспекте организаций, к которым обращались за информацией. Особой благодарности заслуживают краеведы Валентин Дмитриевич Привалов, поделившийся с нами сведениями об издававшихся на Лиговке в разное время газетах и журналах и материалами из своей коллекции городских периодических изданий, и Юрий Николаевич Кружнов, сообщивший сведения о живших на Лиговке актерах и музыкантах и сделавший ценные замечания по структуре книги.

Будем благодарны всем читателям нашей книги за замечания и предложения и особенно за сведения о жителях Лиговки, упомянутых к книге или оставшихся за пределами ее страниц.

Имена и род занятий владельцев участков и строений, а также некоторых жильцов, сведения о перепродажах домов в XIX в. взяты из фонда № 515 Центрального государственного исторического архива Санкт-Петербурга.

Приложение
Иллюстрация к книге — Такая удивительная Лиговка [i_256.jpg]

План Литейной части по «Атласу…» Н.И. Цылова 1849 г.

Иллюстрация к книге — Такая удивительная Лиговка [i_257.jpg]

План Московской части по «Атласу…» Н.И. Цылова 1849 г.

Иллюстрация к книге — Такая удивительная Лиговка [i_258.jpg]

План Московской части по «Атласу…» Н.И. Цылова 1849 г.

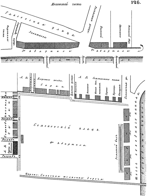
Иллюстрация к книге — Такая удивительная Лиговка [i_259.jpg]

План Каретной части по «Атласу…» Н.И. Цылова 1849 г.

Иллюстрация к книге — Такая удивительная Лиговка [i_260.jpg]

План Каретной части по «Атласу…» Н.И. Цылова 1849 г.

Иллюстрация к книге — Такая удивительная Лиговка [i_261.jpg]

План Каретной части по «Атласу…» Н.И. Цылова 1849 г.

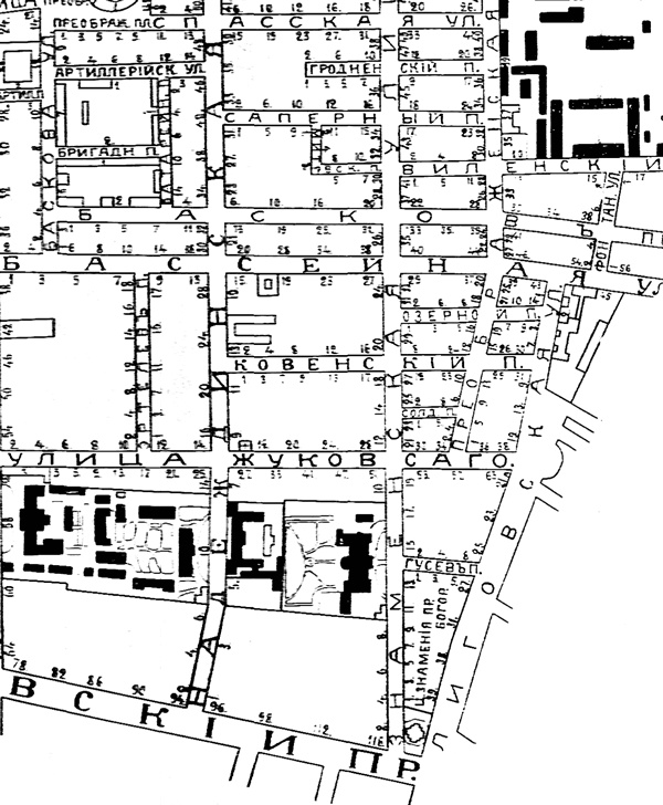
Иллюстрация к книге — Такая удивительная Лиговка [i_262.jpg]

Фрагмент плана Литейной части из справочника «Весь Петербург» за 1912 г.

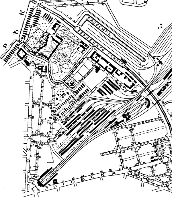
Иллюстрация к книге — Такая удивительная Лиговка [i_263.jpg]

Фрагмент плана Московской части из справочника «Весь Петербург» за 1912 г.

Иллюстрация к книге — Такая удивительная Лиговка [i_264.jpg]

Фрагмент плана Александро-Невской части из справочника «Весь Петербург» за 1912 г.

Реклама
Вход
Поиск по сайту
Ищем:
Календарь