Онлайн книга «Крепости и осадные орудия. Средства ведения войны в Средние века»
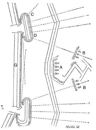
![]() Рис. 131. План орийонов: А — осадная артиллерийская батарея, задача которой – пробить в стене брешь; В — осадные батареи; С, D — прямые стены бастионов; Е — боковые батареи; G — брешь На таких бастионах позади орийонов устанавливали пушки, которые не были видны штурмующим и простреливали ров продольным огнем. Однако эти батареи могли защищать себя только в том случае, если враг оказывался прямо перед ними. Кроме того, они были бессильны против перекрестного и флангового огня и, что хуже всего, не могли защищать друг друга. Их снаряды не могли попасть в осадную батарею, расположенную в точке А и старавшуюся проделать в стене брешь (рис. 131). Ее могли обстреливать только батареи, установленные на куртинах. Умы инженеров по-прежнему были заняты системами близкой обороны. Инженеры стремились придать всем элементам фортификаций индивидуальную мощь (этот принцип был унаследован от средневековой военной архитектуры, где каждое укрепление, как мы уже показывали выше, должно было защищать само себя как изолированный форт) и потому считали совершенно необходимым сделать стену CD (рис. 131) прямой. Ее пушки должны были уничтожить батареи врага, расположенные в точке В, а орудия в точке Е предназначались для того, чтобы открыть стрельбу по врагу, если он попытается форсировать ров и войти в город через брешь, проделанную в точке G. ![]() Рис. 132. План одного из бастионов города Труа: А — небольшие замаскированные батареи; В — передовые батареи Но и этот последний оплот средневековых традиций скоро пал, и с середины XVI века бастионы приобрели такую форму, которая позволяла оборонительным сооружениям противопоставить врагу мощь, равную мощи атаки. Примерное равенство сил сохранялось до того момента, когда осадная артиллерия приобрела несокрушимое превосходство. Итальянские инженеры, которые в конце XV века, по свидетельству Макиавелли, сильно отставали от своих коллег в других странах, в ходе войн конца XV – начала XVI века добились определенного превосходства над французами. Между 1525 и 1530 годами итальянский инженер Сан-Микели (1484–1559) укрепил часть города Вероны, придав ее бастионам ту форму, которая во Франции появилась только в середине XVI века. Однако в архивах французского города Труа сохранился его план (рукопись на пергаменте), на котором четко изображены большие бастионы с орийонами и стенами, образующими тупой угол. Этот план был изготовлен не позже 1530 года, поскольку известно, что в 1524 году Франциск I велел отремонтировать укрепления Труа. На рис. 132 мы приводим факсимильное изображение одного из бастионов этого города [94]. Таким образом, французские инженеры второй половины XVI века, отказавшись от бастионов прямой формы, стали придавать им форму тупого угла А (рис. 133), а также прямого или острого углов В (рис. 133), что позволяло держать прилегающую местность под перекрестным огнем. В резерве имелись казематированные батареи С, которые иногда делали двухъярусными. Они были защищены от огня противника орийонами, с которых велся обстрел колонн врага, штурмовавших брешь, с флангов и с тыла. ![]() Рис. 133. Формы бастионов: А — тупоугольная; В — остроугольная; С – казематированные батареи ![]() Рис. 134. Штурм бастиона: А — бастион; В — осадная батарея; С – внутренний вал ![]() Рис. 135. Изолированный бастион с внутренним валом: А — внутренний вал; В — парапет; С – эскарп; D — наклонная поверхность; G — самая низкая точка бастиона; Н — фланкирующая батарея; I — маскирующие плечи; К — парапет; LM — линия разреза На рис. 134, где изображен штурм бастиона, хорошо видно, для чего нужны фланки, прикрытые орийонами. Одна из стен бастиона А разрушена, что позволило осаждающим установить в точке В осадную батарею, в задачу которой входит проделать в стене брешь. Но пушки, расположенные в крытых фланках этого бастиона, еще целы, поэтому они могут нанести большой урон осаждающим, которые пойдут на штурм, в момент форсирования ими рва. Оказавшись в проеме бреши, штурмовые колонны будут остановлены внутренним валом С, сооруженным в тылу бастиона и тянущимся от одного его плеча до другого, если, конечно, этот вал будет фланкирован артиллерией. На рисунке изображен также вал, запирающий горжу бастиона, который соорудили защитники, после того как поняли, что не смогут долго удерживать бастион. Вместо временных валов, возводившихся в спешке из подручных материалов, в конце XVI века стали в отдельных случаях перекрывать горжу бастионов постоянными стенами (рис. 135) [95] или отделять бастионы рвами с водой, которые рыли позади горжи. Связь с крепостью осуществлялась в этом случае по подъемному мосту или по очень узкому проходу, который можно было при нужде очень быстро забаррикадировать (рис. 136) [96]. |
![Иллюстрация к книге — Крепости и осадные орудия. Средства ведения войны в Средние века [i_131.jpg] Иллюстрация к книге — Крепости и осадные орудия. Средства ведения войны в Средние века [i_131.jpg]](img/book_covers/072/72953/i_131.jpg)
![Иллюстрация к книге — Крепости и осадные орудия. Средства ведения войны в Средние века [i_132.jpg] Иллюстрация к книге — Крепости и осадные орудия. Средства ведения войны в Средние века [i_132.jpg]](img/book_covers/072/72953/i_132.jpg)
![Иллюстрация к книге — Крепости и осадные орудия. Средства ведения войны в Средние века [i_133.jpg] Иллюстрация к книге — Крепости и осадные орудия. Средства ведения войны в Средние века [i_133.jpg]](img/book_covers/072/72953/i_133.jpg)
![Иллюстрация к книге — Крепости и осадные орудия. Средства ведения войны в Средние века [i_134.jpg] Иллюстрация к книге — Крепости и осадные орудия. Средства ведения войны в Средние века [i_134.jpg]](img/book_covers/072/72953/i_134.jpg)
![Иллюстрация к книге — Крепости и осадные орудия. Средства ведения войны в Средние века [i_135.jpg] Иллюстрация к книге — Крепости и осадные орудия. Средства ведения войны в Средние века [i_135.jpg]](img/book_covers/072/72953/i_135.jpg)