Книга Время после. Освенцим и ГУЛАГ: мыслить абсолютное зло, страница 9 – Валерий Подорога

Авторы: А Б В Г Д Е Ж З И Й К Л М Н О П Р С Т У Ф Х Ч Ш Ы Э Ю Я
Книги: А Б В Г Д Е Ж З И Й К Л М Н О П Р С Т У Ф Х Ц Ч Ш Щ Ы Э Ю Я
Бесплатная онлайн библиотека LoveRead.ec

Онлайн книга «Время после. Освенцим и ГУЛАГ: мыслить абсолютное зло»

📃 Cтраница 9

Мысль существует, но на «ничейной земле», здесь она угадывает разрыв и катастрофу, в которую мы ввергнуты. Мир находится в состоянии перманентной катастрофы, или постоянного состояния распада. И только то мышление «истинно», которое пытается себя преодолеть («мыслить против себя») и тем самым пытается вырваться из порочного круга вечного возврата. Но это преодоление утопично, оно невозможно в принципе, хотя Адорно и создает негативный метод, но упирается в то же самое — в разум, т. е. в допущение того, что все происходящее, несмотря на известные издержки, всё-таки разумно (и поэтому имеет право на существование). Именно поэтому мысль должна себя постоянно критически оценивать, не давать перейти в утверждение и повтор, т. е. должна действовать на грани распада, — мыслить против самой себя. Фактически, речь идет о том, чтобы признать некую изначальную цезуру бытия, обрыв и остановку, которые могут открыться за отдельными событиями и обратить на себя всю их разрушительную уничтожающую силу [43]. Вот таким способом и будет открыта та реальность, которая окажется непреодолимой, реальность Освенцима. Бесспорно, это шокирующий аспект мысли. Освенцим это не событие, не мегасобытие, это Конец всех событий.

Картография Зла

Когда М. Фуко описывает карту чумного города, его интересует в первую очередь не то, каким образом распространяется чума, а то, каким образом ее пытаются блокировать, как можно, используя предельно жесткие дисциплинарные механизмы, сохранить жизнь в очаге заражения. Для этого разрабатывается весьма специфическая технология запретов и исключений, некая картография смерти. Какие меры нужны, чтобы воспрепятствовать распространению очагов заражения и не дать чуме полностью поглотить город? Чем более сильна угроза заражения, тем более жестокие дисциплинарные меры принимаются. И действие дисциплинарных механизмов осуществляется независимо от этиологии самой болезни. Неизвестно, каким образом происходит заражение, но есть набор средств ограничения прямого контакта между чумными больными и здоровыми людьми, которые всегда будет использовать власть для того, чтобы предохранить здоровых от заражения. Эта техника контроля над заражением и есть самое главное в реализации основной функции власти: отделять здоровое от больного, чистое от нечистого, сакрального от профанного, безопасное от опасного и т. п. Характерно, что все утопические города-коммуны, которые проектировались Томасом Мором, Кампанеллой и Фурье, так или иначе отвечали по своей стратификации и системам запрета тем признакам, какими Фуко наделяет военную блокаду чумного города. Все это не столько города, сколько военные лагеря со своими особыми функциями, территорией, разветвленной организацией человеческой массы. Но что здесь самое важное? Самое важное — это разгораживать, отделять, устанавливать границы, запреты, иными словами, оперировать с пространственным образом зараженной территории, чтобы она вся разместилась в двух допустимых измерениях разграфленной или разнесенной по клеточкам план-карты. Собственно, зараженный город, закрытый на карантин, — это уже не город, а лагерь (в данном случае — военный лагерь). Поскольку основной целью установления границ (тех, которые нельзя нарушать под страхом смерти) является выживание, то процесс выделения отдельной клеточки заключается в ее полной изоляции от внешнего мира, от тех его воздействий, которые могли бы помешать всё более мелкому разграфлению зараженного пространства. Подобную технику упорядочивания можно назвать дисциплинарной — это набор определенных средств насилия, которыми располагает институт или организация, отдельная личность, чтобы принуждать некое множество человеческих существ к определенному поведению и труду в крайне ограниченном пространстве. Две стратегии исключения: одна, по сути дела, приговаривает к изгнанию: исключается всё то, что не может быть включено; другая, напротив, действует по принципу исключать, чтобы включать, или — включается всё то, что может быть исключено ради включения. Фуко иллюстрирует свою позицию двумя примерами: в одном случае, чтобы показать, что такое исключение, он упоминает о больных проказой; в другом — чтобы показать, что такое включающее исключение, он приводит в пример борьбу с эпидемией чумы в Новое время: «Если верно, что проказа породила ритуалы исключения, до некоторой степени предопределившие модель и общую форму Великого Заключения, то чума породила дисциплинарные схемы. Она вызывает не крупное бинарное разделение между двумя группами людей, а множественные подразделения, индивидуализирующие распределения, глубинную структуру надзора и контроля, интенсификацию и разветвление власти» [44]. Использование метафоры чумы носит у Фуко достаточно своеобразный характер: он понимает под лагерем и его организацией новую позитивность власти, которая препятствует распространению болезни, создавая разного рода блокады. «Речь теперь идет не об исключении, а о карантине. Не об изгнании, а, наоборот, об установлении, фиксации, определении места, назначении должностей, учете наличий, причем замкнутых, наличий в клетках. Это не отторжение, а включение» [45]. Для нацистов такой «позитивности» не было. Их расовая идеология требует радикального «исключения» всего того, что с ней не совпадает. Нацисты видели в «евреях» некую страшную болезнь, что-то вроде проказы или «черной смерти» Средних веков, т. е. заразу, от которой надо оградить и себя, и весь остальной мир. Причем эта зараза активна, она повсюду, она неизлечима. Естественно, что нацистский лагерь смерти есть место уничтожения, а не выживания. По мере выполнения задачи он должен исчезнуть вместе с лагерным устройством и населявшими это пространство людьми.

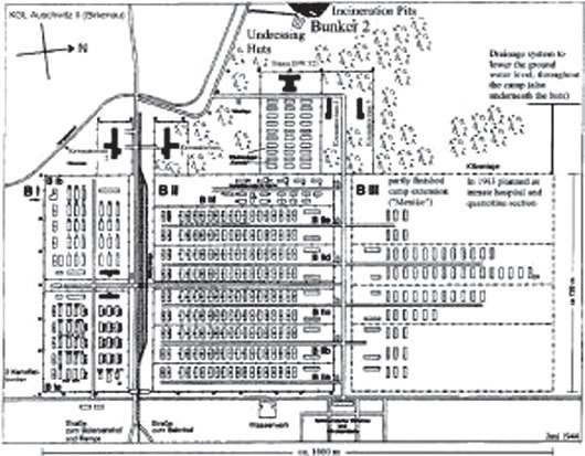
Иллюстрация к книге — Время после. Освенцим и ГУЛАГ: мыслить абсолютное зло [i_003.jpg]

План лагеря для военнопленных Биркенау в июне 1944 г., с предполагаемым бункером и частью ям для сжигания (вверху в центре)

Иллюстрация к книге — Время после. Освенцим и ГУЛАГ: мыслить абсолютное зло [i_004.jpg]

Карта региона Освенцима времен Второй мировой войны


Присмотримся к следующему моменту.

Когда мы говорим о лагере, мы часто имеем в виду неопределенность покрываемого этим термином социального или географического пространства. Военный лагерь разбивается, его можно разбить где угодно; «расположиться лагерем» — это значит готовиться к решающему сражению. Однако понятие лагерь еще не получает топически определенного смысла. В данном случае было бы уместнее использовать термин колонизация, в том старом геополитическом смысле, которое ему придавалось в конце XIX века. Но прежде обратим внимание на биосоциальное определение колонии, которая с давних времен играет роль отстойника, там подвергаются культурной переработке «варварские нравы» колонизуемого населения. «В широком смысле слова колонией можно называть всякое сочетание индивидов низшего порядка для образования индивида высшего, поэтому всякое многоклеточное животное можно считать колонией клеточек» [46]. В своем общем направлении колонизация, как геополитически, экономически или миссионерски направленная деятельность, включает в себя вышеопределенную цель, организацию (насильственную и ненасильственную) элементов, «слабо или иначе организованных» в единое органическое сообщество. Там, где утверждается идея лагеря, там же и реализуется скрытая цель будущей колонизации. Римская колонизация, греческая колонизация, немецкая колонизация и т. д. Исправительно-трудовой лагерь — это организация человеческого множества на основе иной, «более высшей и универсальной» идеи (именно она требует предельно простого и рационального устройства общества). Причем организация всегда выступает как внешний фактор по отношению к «человеческому множеству», ее идея остается непостижимой для тех, кто ею организуется. Так, в мир, который колонизуется, привносится закон организации жизни, не признающий никакой другой. От колонии нет прямого пути к метрополии. Долгий путь становления предстоит пройти «низшему» человеческому существу, чтобы встать вровень с более «высшим». Колониальный мир — это мир лагерей, мир временных обиталищ варварских народов, стоящих на пороге цивилизованного развития, они на постоянном карантине. Именно здесь, на этом пороге, на ничейной земле между «цивилизованными» и «варварами», и появляется лагерь как пространственное образование в границах временных переходов сталинской эпохи. Говорить о ГУЛАГе — это значит говорить о лагере как едином принципе организации пространства выживания (а не временного заключения). Назвать ГУЛАГ тюрьмой крайне трудно. В отличие от традиционных пенитенциарных заведений лагерь находится вне юрисдикции Закона. Это без-законное пространство, или же такое, которое соответствует базовому условию тоталитарного режима власти: чрезвычайному положению [47]. Все должно иметь временный и неопределенный характер, кроме постоянства непрерывно осуществляющей свои цели воли венценосного Суверена или Вождя. Именно он является единственным субъектом права, он тот, кто создает само право из правового ничто [48]. На первый взгляд генеалогия ГУЛАГа легко прослеживаема. Вероятно, она восходит к коммунам 20-х годов и постепенно, с усилением гулагизации социального и природного пространства, получает распространение в виде идеи коллективного трудового лагеря (пионерские, военно-патриотические лагеря, лагеря отдыха, вплоть до создания содружества прокоммунистических государств: «соцлагерь»). Лагерь больше не отдельное место на удаленных и труднодоступных территориях, он становится единственной формой социального опыта в сталинскую и постсталинскую эпоху. Хотя ГУЛАГ — лишь одна из форм обустройства жизни, если ее рассматривать с точки зрения выживания советского человека. Если Освенцим — это, по сути дела, тайное место, где совершается массовое убийство, но его, собственно, и нет, оно не существует с точки зрения социальной общности отдельной нации (или народа), то в ГУЛАГе мы сталкиваемся с совершенно иным явлением государственного терроризма: это, можно сказать, выбор народа (не знающего, как иначе избавиться от своего рабства, если не сделать рабом всякого, кто посчитал себя свободным). Возможно, что ГУЛАГ — это дело народа, точнее, той его части, которая считает себя победителем в гражданской войне. Именно поэтому ГУЛАГ — не столько территория заражения (временного, отчасти случайного рабства), но скорее театр продолжающейся гражданской войны. Тогда лагерная форма заключения — это своего рода превентивная попытка захвата потенциального врага и контроля за ростом враждебности населения со стороны правящего режима. Наказание лагерными сроками депотенциирует страх политического режима перед ближайшей угрозой.

Реклама
Вход
Поиск по сайту
Ищем:
Календарь