Книга Битва за города. Как изменить наши улицы. Революционные идеи в градостроении, страница 24 – Джанет Садик-Хан, Сет Соломонов

Авторы: А Б В Г Д Е Ж З И Й К Л М Н О П Р С Т У Ф Х Ч Ш Ы Э Ю Я
Книги: А Б В Г Д Е Ж З И Й К Л М Н О П Р С Т У Ф Х Ц Ч Ш Щ Ы Э Ю Я
Бесплатная онлайн библиотека LoveRead.ec

Онлайн книга «Битва за города. Как изменить наши улицы. Революционные идеи в градостроении»

📃 Cтраница 24

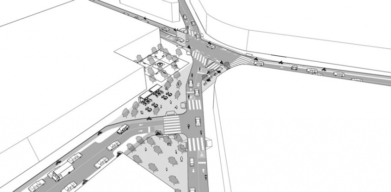
На рисунке (см. нижний рисунок на следующей странице) сходятся три улицы, одна из которых немного не доходит до перекрестка, оставляя большой треугольник пустого пространства, свободного от движения машин. Это, в сущности, и приводит к пересечению трех улиц, движение по которым трудно организовать, создает путаницу и небезопасные условия на дороге.

Способов реорганизации движения на таких перекрестках бесчисленное множество, но основной принцип реорганизации – упрощение улицы и облегчение ее использования.

Иллюстрация к книге — Битва за города. Как изменить наши улицы. Революционные идеи в градостроении [i_014.jpg]

Перекресток сложной конфигурации: на пересечении трех и более дорог, сходящихся и расходящихся под разными углами, движение оптимизировать крайне трудно, при том что имеются многочисленные «мертвые зоны», не задействованные попросту никак. (Источник: NACTO с разрешения Island Press)

Иллюстрация к книге — Битва за города. Как изменить наши улицы. Революционные идеи в градостроении [i_015.jpg]

Перепланировка сложного перекрестка и реорганизация движения по нему позволяют еще и задействовать недоиспользованное пространство бывших «мертвых зон», преобразив их в «живые уголки» зон отдыха (как в нижней части рисунка), а также высвободить под такие же зоны отдыха и часть нерационально использовавшейся ранее площади проезжей части (как в верхней части рисунка), одновременно улучшив пропускную способность перекрестка по транспорту и высвободив место для пешеходов и велосипедистов. (Источник: NACTO с разрешения Island Press)


Например, можно перестроить две улицы и сделать явными перекрестки улиц с двусторонним движением. Эта упрощенная схема создает пространство для пешеходов на двух разных сторонах перекрестка. Пространство в верхнем левом углу особенно интересно: оно расширяет существующую пешеходную зону там, где уже есть открытое примыкающее к зданию пространство; в результате появляется место и для продавцов еды, и для уличных столиков, и для пеших прогулок. Проект планировки остальных улиц завершают пешеходные зоны с выносами тротуаров и сужением проезжей части.

Это всего лишь немногие из безграничных возможностей, которые скрывают городские улицы, разбросанные ныне по всему миру. Не все улицы одинаковы, и существуют тысячи способов планировки под конкретную геометрию и потребности, ведущие к превращению того, что сегодня выглядит как обеспечение транспортного потока, в завтрашнюю улицу здорового образа жизни. Самое важное – уметь наблюдать за жизнью улицы и использовать полученные наблюдения.

Знание того, как изменить улицу, – лишь часть проблемы. Понимание же всей проблемы часто может поставить в тупик. Для большинства городских жителей главный раздражитель – это уличные пробки. Они снижают качество городской жизни. Загруженные улицы и автомагистрали отвратительны, шумны и неудобны. Никому не хочется застрять в уличной пробке или жить слишком близко от городских магистралей, ведь во многих городах жизнь тяжела и независимо от этого.

Дороги строят для машин. И значимость комбинации «дорога + машина» постепенно возрастает по сравнению с другими жизненно важными аспектами человеческого существования вроде общения, физической активности и неопределенности поведения окружающих. Поскольку расстояния между домом, работой и местами развлечения увеличиваются, наши города превращаются из соседских кварталов в коридоры сквозного движения.

Но спросите любого застрявшего в уличной пробке водителя, что надо сделать для того, чтобы «исправить» положение, – и полý-чите четкий ответ: надо строить больше широких дорог! По сравнению с большинством спорных общественных вопросов решение проблемы уличного движения в понимании любого мнящего себя экспертом по городскому движению человека представляется самым простым делом. Сидящие за рулем люди считают уличные пробки доказательством того, что предложение инфраструктуры не поспевает за спросом, который предъявляет движение. Просто машин слишком много, а дороги недостаточно велики. Всего-то и надо построить еще один ряд, который вместит все лишние автомашины, – и я попаду на работу вовремя. Разве это не решение проблемы?

Помните, что случилось на автомагистрали № 405, пример которой приведен в начале этой главы? Как мы видели, пробки на дорогах – это не вопрос недостаточного предложения дорог. Пробки на дорогах – это следствие чрезмерного спроса: у слишком многих людей нет других реальных, надежных вариантов передвижения. Увеличение количества дорог не облегчит положения на них. Почти всегда такое увеличение дает большему числу людей возможность ездить больше. Если бы дорожное строительство действительно приводило к уменьшению дорожного движения, то уже через шестьдесят лет после появления федеральных автомагистралей все мы ездили бы по шоссе с максимально разрешенной скоростью.

Вместо этого осуществление тысяч проектов строительства и расширения дорог привело к появлению большего количества полос движения, большего количества дорог, но не снизило объемы дорожного движения. Множатся свидетельства того, что расходование миллиардов долларов на дорожные проекты, осуществляемые ради ликвидации заторов на дорогах, эффективны не более, чем полное отсутствие дорожного строительства! Это реальный вывод. Города, которые не строили новые автомагистрали, страдают от пробок на дорогах не больше (и не меньше), чем города, потратившие миллиарды долларов на расширение дорог вроде того, которое было проведено на магистрали № 405 в Лос-Анджелесе.

В исследовании, выполненном в 2009 году Жилем Дюранто-ном и Мэтью Тернером, двумя учеными-экономистами из Торонтского университета, изучены данные о дорожном движении в городах, инвестировавших средства в строительство новых дорог в период с 1980 по 2000 год, и такие же данные о городах, в которых дорожное строительство не велось. Полученные результаты дают основания для установления фундаментального закона образования пробок на дорогах [118]: «расширение большинства крупных дорог сопровождается пропорциональным возрастанием интенсивности дорожного движения». Наблюдается не просто тесная корреляция дорожного строительства с ростом интенсивности дорожного движения: оказывается, что каждый километр построенных дорог на километр увеличивает и пробег автомобилей.

Существует специальный термин для обозначения этого каскадного нарастания объема дорожного движения – «стимулированный спрос». Людям, видевшим, как города по всему миру один за другим игнорируют сформулированный выше фундаментальный принцип и какое пагубное воздействие оказывает на города пренебрежение этим принципом, обсуждать эту тему скучно.

Вход
Поиск по сайту
Ищем:
Календарь