Онлайн книга «Шпион на миллиард долларов. История самой дерзкой операции американских спецслужб в Советском Союзе»
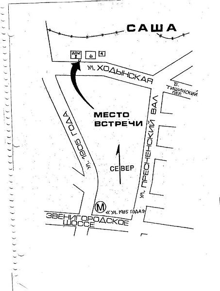
![]() ![]() Гилшер и другие сотрудники резидентуры готовили схемы и планы для Толкачева. На рисунке показано место встречи под кодовым названием “Саша”. ![]() Первая шпионская камера “Молли” (вверху), выданная Толкачеву для копирования документов, работала неудовлетворительно. Позже ЦРУ передало Толкачеву миниатюрный фотоаппарат Tropel, спрятанный в брелоке для ключей (внизу). ![]() ![]() Страница инструкции для аппарата Tropel. Камера была гениальным инженерным изобретением. С ее помощью Толкачев сумел переснять документы, запершись на работе в мужском туалете. Публикуется с разрешения Г. Кита Мелтона и архива Мелтона. ![]() Джон Гилшер в московской резидентуре. Публикуется с разрешения Дэвида Ролфа. ![]() Дэвид Ролф, второй куратор Толкачева. Перед тем как начать работать с Толкачевым, Ролф сумел провести успешную эвакуацию агента CKUTOPIA (“Утопия”). Публикуется с разрешения Дэвида Ролфа. ![]() Знак “V”, оставленный агентом CKUTOPIA на столбе. Операция по эвакуации агента началась вскоре после того, как в один из воскресных дней в начале 1980 года Ролф увидел этот знак. Публикуется с разрешения Дэвида Ролфа. ![]() ![]() Пропуск Толкачева. В ЦРУ пытались изготовить фальшивый пропуск для Толкачева, чтобы он мог выносить с работы секретные материалы. Несмотря на многие усилия, Толкачев пользовался этим документом очень недолго — всего несколько недель летом 1982 года. ![]() Английский перевод записки Толкачева, передавшего образцы для копирования: “В пропуск Б вложены отрезанные от моего пропуска полоски бумаги: одна, цветная, с внутренней страницы, вторая — от обложки”. Публикуется с разрешения Г. Кита Мелтона и архива Мелтона. ![]() Бертон Гербер, шеф московской резидентуры в 1980–1982 годах, позже глава советского отдела ЦРУ, и его жена Розали. Гербер участвовал в разработке правил для отбора новых сотрудников ЦРУ и успешно применил в Москве новый метод работы, используя глубоко законспирированных агентов. Публикуется с разрешения Бертона Л. Гербера. ![]() Роберт Моррис за рабочим столом. Административная служба была его прикрытием. Публикуется с разрешения Роберта О. Морриса. ![]() В высотном здании, где была квартира Толкачева, жили представители советской элиты — деятели авиационной и космической отрасли. Фото автора. ![]() Чтобы сообщить о своей готовности встретиться, Толкачев подавал условный сигнал — открывал кухонную форточку. Фото автора. ![]() Главным шпионским оборудованием Толкачева была 35-миллиметровая зеркальная камера Pentax ME. Ею он отснял тысячи страниц секретной документации. Titrisol / Wikimedia Commons. |
![Иллюстрация к книге — Шпион на миллиард долларов. История самой дерзкой операции американских спецслужб в Советском Союзе [_12_2.jpg] Иллюстрация к книге — Шпион на миллиард долларов. История самой дерзкой операции американских спецслужб в Советском Союзе [_12_2.jpg]](img/book_covers/053/53789/_12_2.jpg)
![Иллюстрация к книге — Шпион на миллиард долларов. История самой дерзкой операции американских спецслужб в Советском Союзе [_12_3.jpg] Иллюстрация к книге — Шпион на миллиард долларов. История самой дерзкой операции американских спецслужб в Советском Союзе [_12_3.jpg]](img/book_covers/053/53789/_12_3.jpg)
![Иллюстрация к книге — Шпион на миллиард долларов. История самой дерзкой операции американских спецслужб в Советском Союзе [_13_2.jpg] Иллюстрация к книге — Шпион на миллиард долларов. История самой дерзкой операции американских спецслужб в Советском Союзе [_13_2.jpg]](img/book_covers/053/53789/_13_2.jpg)
![Иллюстрация к книге — Шпион на миллиард долларов. История самой дерзкой операции американских спецслужб в Советском Союзе [_13.jpg] Иллюстрация к книге — Шпион на миллиард долларов. История самой дерзкой операции американских спецслужб в Советском Союзе [_13.jpg]](img/book_covers/053/53789/_13.jpg)
![Иллюстрация к книге — Шпион на миллиард долларов. История самой дерзкой операции американских спецслужб в Советском Союзе [_13_4.jpg] Иллюстрация к книге — Шпион на миллиард долларов. История самой дерзкой операции американских спецслужб в Советском Союзе [_13_4.jpg]](img/book_covers/053/53789/_13_4.jpg)
![Иллюстрация к книге — Шпион на миллиард долларов. История самой дерзкой операции американских спецслужб в Советском Союзе [_14.jpg] Иллюстрация к книге — Шпион на миллиард долларов. История самой дерзкой операции американских спецслужб в Советском Союзе [_14.jpg]](img/book_covers/053/53789/_14.jpg)
![Иллюстрация к книге — Шпион на миллиард долларов. История самой дерзкой операции американских спецслужб в Советском Союзе [_15.jpg] Иллюстрация к книге — Шпион на миллиард долларов. История самой дерзкой операции американских спецслужб в Советском Союзе [_15.jpg]](img/book_covers/053/53789/_15.jpg)
![Иллюстрация к книге — Шпион на миллиард долларов. История самой дерзкой операции американских спецслужб в Советском Союзе [_15_2.jpg] Иллюстрация к книге — Шпион на миллиард долларов. История самой дерзкой операции американских спецслужб в Советском Союзе [_15_2.jpg]](img/book_covers/053/53789/_15_2.jpg)
![Иллюстрация к книге — Шпион на миллиард долларов. История самой дерзкой операции американских спецслужб в Советском Союзе [_16.jpg] Иллюстрация к книге — Шпион на миллиард долларов. История самой дерзкой операции американских спецслужб в Советском Союзе [_16.jpg]](img/book_covers/053/53789/_16.jpg)
![Иллюстрация к книге — Шпион на миллиард долларов. История самой дерзкой операции американских спецслужб в Советском Союзе [_16_2.jpg] Иллюстрация к книге — Шпион на миллиард долларов. История самой дерзкой операции американских спецслужб в Советском Союзе [_16_2.jpg]](img/book_covers/053/53789/_16_2.jpg)
![Иллюстрация к книге — Шпион на миллиард долларов. История самой дерзкой операции американских спецслужб в Советском Союзе [_16_3.jpg] Иллюстрация к книге — Шпион на миллиард долларов. История самой дерзкой операции американских спецслужб в Советском Союзе [_16_3.jpg]](img/book_covers/053/53789/_16_3.jpg)
![Иллюстрация к книге — Шпион на миллиард долларов. История самой дерзкой операции американских спецслужб в Советском Союзе [_17.jpg] Иллюстрация к книге — Шпион на миллиард долларов. История самой дерзкой операции американских спецслужб в Советском Союзе [_17.jpg]](img/book_covers/053/53789/_17.jpg)
![Иллюстрация к книге — Шпион на миллиард долларов. История самой дерзкой операции американских спецслужб в Советском Союзе [_17_2.jpg] Иллюстрация к книге — Шпион на миллиард долларов. История самой дерзкой операции американских спецслужб в Советском Союзе [_17_2.jpg]](img/book_covers/053/53789/_17_2.jpg)
![Иллюстрация к книге — Шпион на миллиард долларов. История самой дерзкой операции американских спецслужб в Советском Союзе [_18.jpg] Иллюстрация к книге — Шпион на миллиард долларов. История самой дерзкой операции американских спецслужб в Советском Союзе [_18.jpg]](img/book_covers/053/53789/_18.jpg)
![Иллюстрация к книге — Шпион на миллиард долларов. История самой дерзкой операции американских спецслужб в Советском Союзе [_19_2.jpg] Иллюстрация к книге — Шпион на миллиард долларов. История самой дерзкой операции американских спецслужб в Советском Союзе [_19_2.jpg]](img/book_covers/053/53789/_19_2.jpg)
![Иллюстрация к книге — Шпион на миллиард долларов. История самой дерзкой операции американских спецслужб в Советском Союзе [_19_3.jpg] Иллюстрация к книге — Шпион на миллиард долларов. История самой дерзкой операции американских спецслужб в Советском Союзе [_19_3.jpg]](img/book_covers/053/53789/_19_3.jpg)